Last night, February 12, the Round Rock City Council chose to disregard and dismiss the will of the people of Round Rock in favor of yet another data center developer.

After hours of impassioned public testimony from around 50 Round Rock citizens and subject matter experts and being presented with a petition bearing over 3,200 signatures, the Round Rock City Council voted “yes” on the application to rezone nearly 30 acres of land along Old Settlers Boulevard to allow for construction of what is now reported to be a 60 MW data center (up from the 40 MW still showing on Skybox’s project website.)

We are not finished. We are not deterred. We are not going away.

Collectively, we are a movement.

Stay tuned.

Here are the thoughts of Pamela Oldham, one of Protect Round Rock's founders.

Last Night’s Data Center Public Hearing
We’re Left Wanting For Seven Good Shepherds

The phrase, “In the light of day, all things become clearer” aligns closely with scriptural themes emphasizing that while darkness hides truth and fosters uncertainty, exposure to light reveals the true nature of things. The validity of these concepts were on full display last night at the Round Rock City Council’s public hearing.

That data center is coming to Old Settlers Boulevard. After hours of polite, passionate but respectful and fact-based public testimony by dozens of experts and regular everyday people, all seven members of our City Council voted unanimously to ignore the will of the people. In the process, they all revealed themselves to be nothing more than shills for a big corporation whose goal is to plunder our resources at our expense. Only three people spoke in favor of the proposal: a middle-aged couple living in Chandler Creek and an employee of Skybox.

Our goal was to prevent an unmitigated disaster for our community. The Council’s unmistakable mission: to show every person assembled there—from young children to 80-year olds, newcomers to longtime residents—that they, not their constituents, are in charge here.

Last night, the Mayor and council members put on a master class in bad government and bad governance. It’s not just that they’re out of touch with the people they claim to represent. From the very start of the public hearing, our elected representatives were antagonistic, openly hostile, dismissive, and disrespectful to every single person who dared to oppose their will, those who dared to be present in “their” chambers.

Worse, they turned what should have been a sober, reasonable hearing of concerns into a jarring, rules for thee but not for me, patronizing debate with citizen speakers. Time and time again, speakers having completed their testimony were then forced to endure a public face off between them and various Council members, City staff, the property owner, and a snake oil salesman-like Skybox executive. It was the most disgusting, demeaning display of power on steroids I have ever seen in my five decades of testifying in multiple governmental venues. Nearing the 11 o’clock hour, the motion was made and seconded to approve the data center the public did not want. The voting began with Council member Hilda Montgomery.

In a highly theatrical, seemingly practiced moment, Montgomery paused and looked down upon the assembled crowd of people—her constituents—from her perch on the dais. Opponents of the data center subtly adjusted in their seats to face her directly, silently raising then softly waving yellow flyers that read, “Vote No Data Center.” Montgomery took a deep breath and then responded, “Yes.” The other six votes came with the speed of a machine gun.

So, in this morning’s light, the loss of a hard fought battle is disappointing. However, it is the shameful behavior by our elected officials that both saddens and enrages me; their outright bullying of members of our community for daring to speak up, for inconveniencing them by delaying their pre-determined vote takes my breath away.

But the courage, steely resolve, and unity of purpose our community demonstrated last night is what will continue to embolden us all.



! Proposed data center near Round Rock neighborhoods

Stop the Skybox Data Center in Round Rock, Texas

Round Rock residents have organized to oppose City Council approval of the proposed Skybox AI data center. We are asking the Council to protect our neighborhoods, our critical infrastructure, and our cost of living.

We're asking the Council to reject the Skybox project, call a city-wide moratorium on considering new data center rezoning or construction proposals, and pause projects already in the pipeline until we can all come together and agree upon strict, community-first safeguards.

GET INVOLVED NOW! Email info@protectroundrock.org.











Why this matters

We deserve and must have a say in AI data center projects. They use massive amounts of water and electricity, worsening shortages and dramatically increasing our monthly utility bills.

They have an adverse effect on our health and quality of life. They provide virtually no long-term public benefit.

We need to Protect Round Rock with a new city land use ordinance designed specifically for data centers that is jointly created by the City of Round Rock and residents.

Neighborhood impact

24/7 industrial operations

Large generators, chillers, and rooftop equipment can create continuous noise, many types of pollution, and visual blight. Once built, neighborhoods live with these impacts every hour of every day.

Infrastructure strain

Heavy power & water demand

We've been under water restrictions for years and our electric grid has already proven to be unreliable. AI data centers trigger skyrocketing utility costs for residents and local businesses. Telling consumers and local businesses to conserve and pay more while data centers waste and pay less is immoral.

Serious health risks

Noise you can feel for miles

The low-frequency noise data centers emit 24/7 poses serious health hazards. Perceived indoors and out as deep pitched sound and felt as vibration, it causes sleeplessness, stress and anxiety, impaired cognitive function, disorientation, and reduced ability to concentrate. For neurodivergent people and those with dementia or Alzheimer's, the noise can be devastating.

Maps & documents

See where Skybox would sit and learn more about the impact of data centers

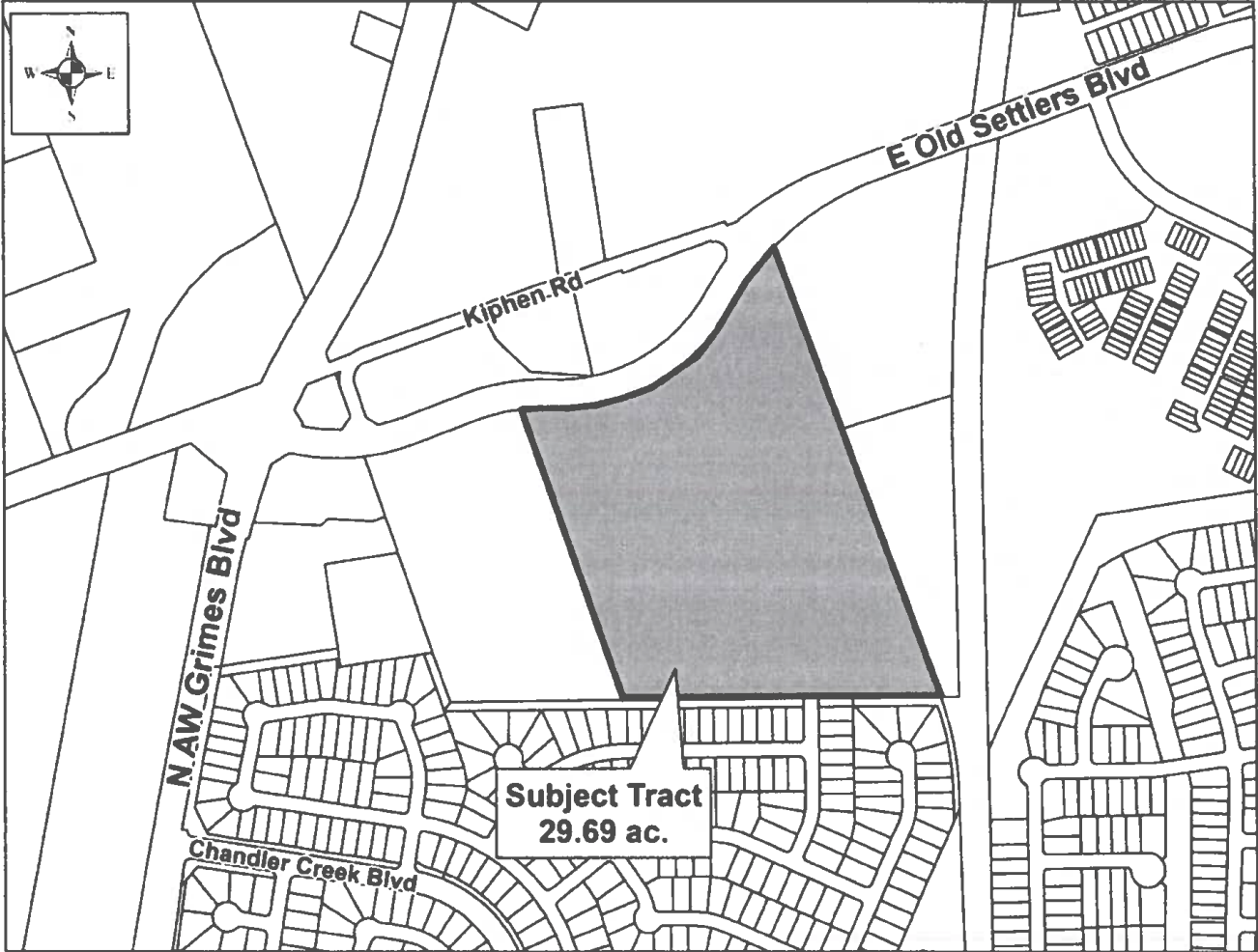
Proposed Skybox / Old Settlers Site Map

These maps show how close the proposed data center site is to homes, parks, schools, and key arterial roadways.

Map showing the proposed Skybox data center site in relation to Old Settlers and surrounding neighborhoods
Source: City of Round Rock Public Hearing Notice

Satellite map showing location of proposed Skybox data center site and impacted surrounding areas.
Source: Satellite imagery from Apple Maps. Click the image to enlarge.

Map showing location of operational, under construction, approved, or pending approval data center sites in Round Rock.
Operational, under construction, approved, or pending approval data centers in Round Rock and nearby Pflugerville. Click the image to enlarge.

Map showing 2.5 mile radius around proposed Skybox AI data center.
Low frequency noise, vibration, and air pollution have been shown to adversely impact the physical, mental, and emotional health of those within a 2.5 mile radius of an AI data center. Do you live, work, or have children in school within that distance of this or one of the many other data centers coming to Round Rock? This map shows a 2.5 mile radius around the proposed Skybox data center on Old Settlers Boulevard, but 8 other data centers have been approved, are under construction, or in operation already in Round Rock (view map above to see their locations.) Click the image to enlarge.
Take action

Three concrete things you can do this week

City Council listens when neighbors are organized, respectful, and persistent. Use the steps below to make sure your voice counts.

1

Spread the word

Call or text your friends, neighbors, family members, co-workers, and anyone else you can think of and let them know about the proposed data center and the risks it presents. Use all your social media outlets to help get the word out. Share this website. When you're visiting local businesses, let them know of this data center and ask them to help get the word out.

Download printable flyer to distribute
2

Let Skybox and City Council know you don't want another data center in your city

Send an email to the Skybox executives who are trying to force yet another data center into Round Rock know that you don't want that to happen. You can send an email to each of the involved Skybox execs using the links below:

Email Skybox executives


You can also call the Round Rock City Council at 512-218-5410 and send emails. Express your opposition and send a short, polite email each time. Mention where you live, express your opposition to the Skybox proposal, and share your worries—maybe present a new or different concern every time you call or email. Ask the Council to vote NO on this data center proposal.

Click on the link below to create an email to every member of the City Council.

Email City Council

3

Sign the petition; join our volunteer team

A petition calling for a NO vote by City Council is up and ready for you to sign. Add your name to the petition here.

Be a hero! We need an army of volunteers to defeat this proposal. Send an email to info@protectroundrock.org to receive a list of the many ways you can help protect our community by stopping the data center invasion. We even have a list for prospective volunteers who for medical or other reasons simply can’t leave home but want to do whatever they can for the cause!

Dispelling myths

Data center myths vs. facts

Download our reality check on Skybox's claims here.

Myth #1 - Data centers bring lots of jobs

Fact: Most data centers have fewer than 20-30 full-time, on-site employees once built. Data centers consume massive amounts of water and power but provide very little economic activity.

Myth #2 - Skybox fits the zoning

Fact: Round Rock 2030’s industrial criteria say no industrial development within 500 feet of homes or arterial roads, no adjacent residential, and little/no visibility. The Skybox proposal violates all four. Rezoning this property from Light Industrial to Planned Unit Development is a sneaky work-around to avoid compliance with the City’s own Comprehensive Plan.

Myth #3 - A wall fixes everything

Fact: An 8-20 foot high concrete wall is not compatibility - it’s camouflage. If a project needs a wall that big to hide it, it shouldn’t be there.

  • Myth #4 - It’s low impact because it’s closed-loop cooling

    Fact: Closed-loop cooling still uses massive amounts of water. And Round Rock residents are already paying higher water and wastewater base rates to build out additional infrastructure to meet growing demands. Round Rock residents have been under water conservation restrictions for years; why should these water (and power) hungry data centers be allowed to consume vast quantities of water when it is such a scarce resource?

  • Myth #5 - Round Rock needs to approve this to stay competitive

    Fact: Round Rock already hosts major data center projects - the Amazon PUD, Sabey’s 84 megawatt campus, three Switch data centers, another already approved along Chisholm Parkway, and more coming regionally. The City is not at risk of being left behind, and there are far more appropriate locations to house data centers with far less adverse impact on Round Rock’s residents and businesses.

  • Myth #6 - We can approve now and plan later

    Fact: Approving the Skybox PUD commits the City to long-term industrial use near homes (particularly but not exclusively: the established Villages at Chandler Creek, the newly completed Pioneer Point, and the brand new, and not yet complete, Homestead at Old Settlers Park) and Old Settlers Park before Round Rock has a citywide data center ordinance and utility impact study. All data centers should be required to disclose monthly water, electric, and natural gas usage.

Learn more

Frequently asked questions

This site is maintained by local residents. We support smart, transparent development in Round Rock. We are not anti-technology; we are asking City Council to put our community first.

Who is behind this effort?

This website was created by Round Rock residents concerned about the proposed Skybox data center and its potential long-term impacts on nearby neighborhoods, infrastructure, and city finances.

Are you opposed to all data centers?

No. We are pro-technology and pro-planning, and are asking that any large-scale data center proposal be sited, designed, and conditioned in a way that protects residents: strict noise controls, resilient infrastructure, independent impact studies, and fair financial terms.

How can I stay updated?

Check back with this website. Keep an eye on the City Council agenda, and news outlets, including Community Impact. Watch NextDoor, X, Reddit, and other community networks.

  • What should I say to City Council?

    Focus on your story: where you live, why you chose Round Rock, and your concerns. Ask how noise, backup generators, and power demand will be managed and monitored, and what recourse neighbors have if promises are broken.

  • What should I say to Skybox and City staff?

    Use our fact check on Skybox and City claims to refute their assertions. Ask hard, piercing questions. Express your concerns, backed by the many facts you can find on this site and elsewhere. Don't accept their pat answers, and don't presume what you're hearing from them is based on facts or science. Stand by your position.

  • What if I can’t attend the meeting?

    You can still email City Council, call their offices, and share information with neighbors. Consider submitting written comments ahead of the meeting.

  • Can businesses support this?

    Yes! Local businesses have a stake in responsible growth. Business owners can sign the petition, contact Council, and speak about how industrial projects affect customers, traffic, and the character of Round Rock.

  • How do I help?

    We need volunteers to help with outreach, research, and meeting turnout. Consider hosting a small neighborhood meeting or helping share flyers.

  • What's happened so far?

    The City Planning and Zoning Commission has approved the rezoning request and has forwarded it to City Council for approval. On December 4th, the first public hearing was held. About 25 speakers passionately spoke out in opposition, and in a very unusual move, the City Council allowed the matter to go to a "second reading" -- a second public hearing. Their usual procedure is to waive the second reading and vote immediately, but our collective voice made a real difference. That second hearing is now reportedly scheduled for February 12, 2026. Watch this space -- we will let you know if and when that date is confirmed. We need you there!